Search

31 Dec 2025

BREAKING: Met Eireann issues Orange Weather Warning and two Yellow Weather Warnings as Lorenzo approaches

BREAKING: Orange Weather Warning and two Yellow Weather Warnings issued by Met Eireann

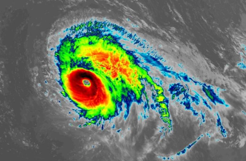
Anticipating ex tropical storm Lorenzo, Met Eireann has issued a Status Orange Wind Warning for western counties and Status Yellow Warnings for Rainfall and Wind for Kildare and the rest of the country - between tomorrow morning and Friday morning. 

The Status Red Warning is for Galway, Mayo, Clare, Cork, Kerry and Limerick.

Forecasters said southwesterly winds veering westerly will reach mean speeds 65 to 80km/h with gusts generally of 100 to 130km/h, higher in coastal regions.

Storm surges will produce coastal flooding and damage.

The Orange Warning is valid from Thursday 03 October 2019 at 6pm  to Friday 04 October 2019 3pm. 

A Yellow Wind warning has been issued for Ireland.
Southeasterly winds later veering southwesterly will reach mean speeds 50 to 65km/h with gusts to 100km/h resulting in some disruptive impacts.

The Yellow Warning is valid from  Thursday, 03 October 2019 09:00 to Friday 04 October 2019 06:00.

A Status Yellow Rainfall Warning for Ireland has been issued and forecasters said spells of heavy rain (in excess of 50mm in parts of the west and northwest) will result in some flooding.

Valid: Thursday 03 October 2019 09:00 to Friday 04 October 2019 09:00.

To continue reading this article,
please subscribe and support local journalism!


Subscribing will allow you access to all of our premium content and archived articles.

Subscribe

To continue reading this article for FREE,
please kindly register and/or log in.


Registration is absolutely 100% FREE and will help us personalise your experience on our sites. You can also sign up to our carefully curated newsletter(s) to keep up to date with your latest local news!

Register / Login

Buy the e-paper of the Donegal Democrat, Donegal People's Press, Donegal Post and Inish Times here for instant access to Donegal's premier news titles.

Keep up with the latest news from Donegal with our daily newsletter featuring the most important stories of the day delivered to your inbox every evening at 5pm.